Curious about what’s possible for your skin? At Iconic Beauty Aesthetics, we believe every concern has a solution. From fine lines and stubborn pigmentation to acne, rosacea, and unwanted pigment, our advanced treatments are designed to restore, refresh, and reveal your best skin.
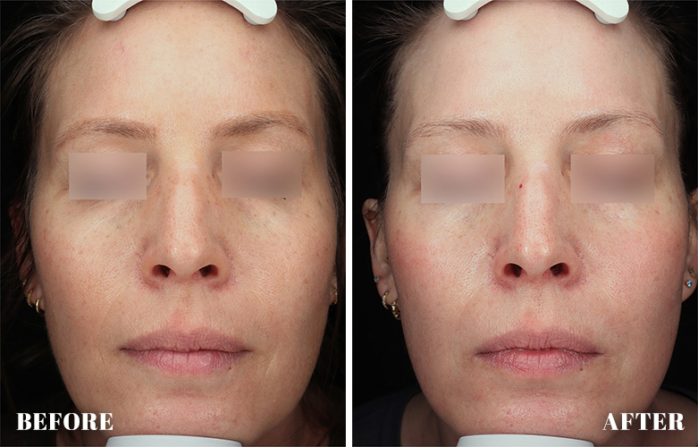
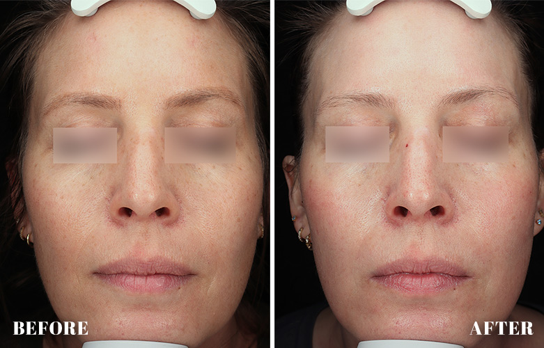
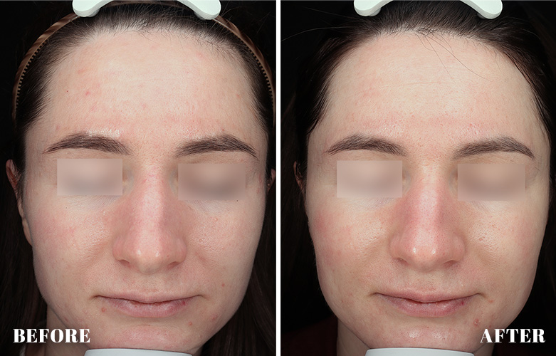
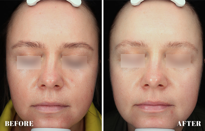
Browse through our results below to find the treatment that matches your concern. Each treatment has its own page with detailed info and a gallery so you can see real transformations and envision your own.
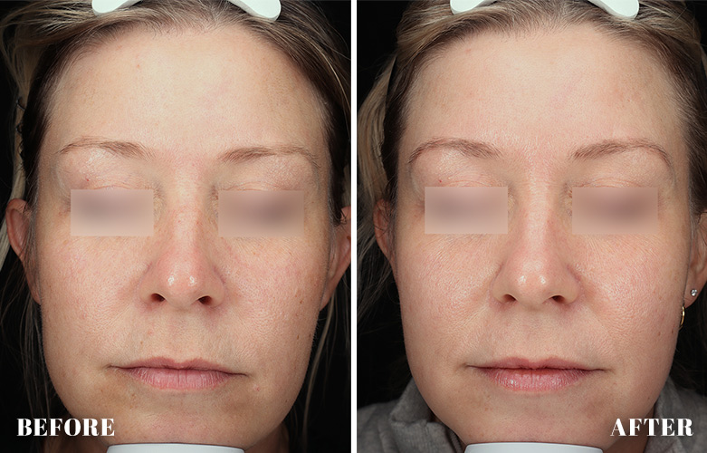
The Fotona 4D™ laser targets deeper wrinkles, loss of elasticity, and dullness to restore smooth, lifted skin.
Combines resurfacing and pigment correction for smoother texture and a more even complexion.
A tailored approach to address multiple skin concerns like texture, tone, and hydration.
Fully personalized solutions designed to treat your unique skin goals and challenges.
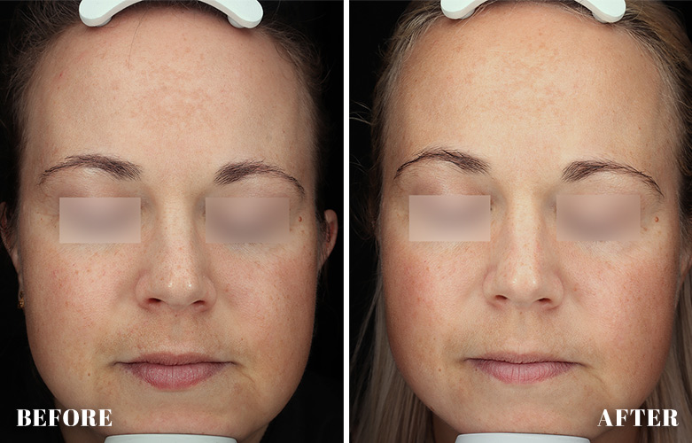
Refines texture, minimizes pores, and softens fine lines for refreshed, smooth skin.
Targets uneven tone, mild scarring, and early signs of aging for clearer skin.
Boosts skin renewal and tightness while addressing sun damage and surface imperfections.
Pairs advanced resurfacing with clinical skincare for enhanced tone and radiance.
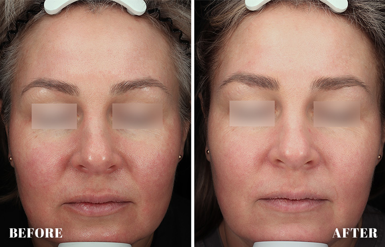
Combines light and laser energy to treat redness, pigment, and texture concerns.
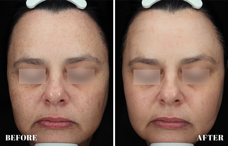
Treats pigmentation and vascular damage caused by UV exposure.
Removes damaged surface layers to reduce fine lines, sun damage, and texture issues.
Improves texture, fades discoloration, and supports collagen renewal.
Combines exfoliation and light therapy to treat sun spots, pigment, and uneven texture.
Combines clinical skincare with advanced peeling to maintain skin clarity and youthfulness.
Targets pigment, texture, and fine lines with a multi-layered rejuvenation approach.
Treats unwanted pigmentation, freckles, and sun damage for balanced skin tone.
Designed for darker skin tones to safely and effectively fade pigmentation.
Blends clinical treatments and skincare for results tailored to your needs.
Targets multiple concerns including redness, pigment, and texture in one advanced protocol.
Corrects pigment safely for deeper skin tones while preserving natural balance.
Treats pigmentation, fine lines, and texture with precision and minimal downtime.
Combines collagen stimulation and pigment correction for smoother, healthier skin.
Combines laser and light technology for brighter, firmer, more balanced skin.